![]() | ![]() |

全外显子组测序(Whole Exome Sequencing,WES)是对整个基因组的全部基因编码区进行测序。人类基因组大小约 3G 个碱基,而基因编码区只占 1 -2%,大约 30M 个碱基。而编码区出现的变异往往会导致严重的后果,是大多数遗传病或肿瘤发生的直接原因。因此,对外显子区域进行测序是经济有效的方法之一。

全外显子组测序利用 Agilent SureSelect 捕获探针杂交富集外显子区域的 DNA 序列,结合高通量测序,可以发现外显子区域相关变异信息。


Illumina 高通量测序平台

发现外显子区域的突变,寻找突变与遗传病、复杂疾病、肿瘤等疾病的关系。

作为 Agilent 公司的认证服务商,伯豪采用稳定的 SureSelect 捕获系统进行全外显子组捕获;
伯豪样本中心具有十年特殊样本处理经验,针对 FFPE、特殊肿瘤等样品有丰富经验;
具有丰富的遗传病和肿瘤队列研究经验,帮助客户发表多篇高分文章;
专业报告解读系统,对临床应用支持良好。



样本类型:DNA、组织、细胞、全血等;
DNA 总量:DNA≥ 2 μg;浓度:DNA≥ 50 ng/μl;要求主带清晰,无降解,浓度大于 50ng/ul,总量大于 1ug,OD260/OD280 =1.8~2.0,OD260/OD230=1.5 ~2.2。
测序深度:≥100X;
测序读长:2*150bp。
数据分析内容


案例一【伯豪文献】全外显子测序发现急性红细胞白血病新突变

急性红细胞白血病(AEL)是白血病(AML)亚型中的一种,在老年人白血病中的占比较高。相对于其他类型的 AML,AEL 病人有更加 poor-risk 的细胞遗传学异常和不良的预后。虽然针对 AEL 的外显子突变位点发现已有一些报道。但是,针对 AEL 的完整突变谱发现还没有相关报道。研究人员运用外显子组测序技术,发现了 AML 相关的高频突变基因 GATA2 和 CEBPA 等突变,为理解急性红细胞白血病的发生发展过程提供了新的证据。



本研究通过外显子组测序,发现了 AEL 相关的特异性体细胞突变。其中,对 GATA2 的大样本验证及不同类型白血病样本验证,表明其实 AEL 所特有的高频突变。此外,通过突变转染的细胞实验研究表明,GATA2 的突变影响力红细胞的发育过程。该研究为理解急性红细胞白血病的发病机制提供了新的证据。

AEL 中的突变【a】58 个 AEL 病人的突变分布图;【b】GATA2 蛋白的结构;【c】GATA2 突变在 AML, CML-BC, MDS 及 ALL. 中的患病率。

Ping N, Sun A, Song Y,et al. Exome sequencing identifies highly recurrent somatic GATA2 and CEBPA mutations in acute erythroid leukemia. Leukemia. 2016.
案例二:【伯豪文献】全基因组连锁分析和外显子测序在非综合征耳聋家系中鉴定 DMXL2 致病变异

目前已知有超过 100 多个基因,其所含的致病变异会对听觉系统造成不同的功能影响,并引起相应的听力损失。但对非综合征耳聋而言,依旧有超过 50 多相关位点的遗传致病机制还未详细阐明。本文利用全基因组 SNP 芯片及全外显子组测序技术对一非综合征耳聋家系中的 21 个样本进行全基因组连锁分析,并通过对个别家系样本进行全外显子组测序和对所有家系样本进行 Sanger 测序来鉴定候选的致病变异。



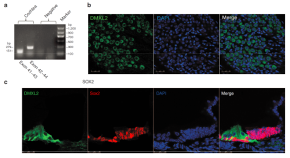
全基因组连锁分析在家系中的 10 个 case 及 11 个 control 中进行(图 1a),分析得到 9.68Mb 的致病候选区段,LOD 值为 4.03(图 1c)。该区段中未发现与综合征或非综合征耳聋相关的已知致病基因,因此,该家系听力丧失的症状可能是由一个新基因变异造成。文章随后对家系中三个患病个体及一个正常对照个体进行了全外显组测序(平均测序深度 >100X)。候选变异需为编码区的无义变异、错义变异,位于可变剪切位点的变异和 InDel 变异,以及人群数据库中变异频率小于 0.001 的变异等,分析得到 3 个候选致病变异。研究人员对家系所有 22 个样本,尤其是对 II- 2 样本进行 sanger 测序,鉴定出一个在家系个体中呈现共分离的变异位点 DMXL2: NM_001174116:exon29:c.7250G>A:p.Arg2417His(图 2)。后期的小鼠功能实验发现 DMXL2 基因可能对内耳功能有重要作用(图 3)。

▲图 1【a】患有常染色体显性的非综合征听力丧失家系图谱。箭头所指为先证者,星号标记的个体参与了 SNP 芯片连锁分析,三角标记个体(II-1,IV-1,IV-4,IV-6)则后续用来进行全外显子组测序,下划线标记个体 II-2,则包含了一个关键的重组事件。 【c】15 号染色体连锁分析的 LOD 值,当把 II- 2 个体包括后,其大的 LOD 值达到了 4.33。

▲图 2【a】变异和参考序列的色谱图。【b】DMXL2 的 Arg2417 残基在 Homo sapiens, Mus musculus, Bos taurus, Canis lupus, Gallus gallus 和 Danio rerio 中具有保守性。【c】DMXL2 蛋白的功能域和 p.Arg2417His 变异的位置。

▲图 3 小鼠耳蜗中 Dmxl2 的表达情况。【a】RT-PCR 检测从 P1 小鼠耳蜗提取总 RNA 的 Dmxl2 表达情况。小鼠尾巴的基因组 DNA 作为阴性对照。【b】免疫染色实验表明 DMXL2 在小鼠柯蒂氏器官的螺旋神经节中有表达。【c】免疫染色实验表明 DMXL2 在小鼠的毛细胞和螺旋神经节的神经纤维细丝中有表达。

Chen, D.Y., et al., A dominant variant in DMXL2 is linked to nonsyndromic hearing loss. Genet Med, 2016.
| 序号 | 文章名称 | 伯豪生物科研服务 | 样本类型 | IF |
| 1 | NPHS2 gene polymorphism aggravates renal damage caused by focal segmental glomerulosclerosis with COL4A3 mutation | Whole-exome sequencing | 血液 | 3.976 |
| 2 | Effects of childhood trauma experience and BDNF Val66Met polymorphism on brain plasticity relate to emotion regulation | Whole-exome sequencing | 血液 | 3.352 |
| 3 | Polydactyly Patient Carried a Mutation of PTCH1 Which Has Been Identified in Nevoid Basal Cell Nevus Syndrome | Whole-exome sequencing | 血液 | 3.55 |
| 4 | An HNSCC syngeneic mouse model for tumor immunology research and preclinical evaluation | Illumina RNA Sequencing whole exome sequencing |
细胞 | 5.314 |
| 5 | Integrated Omics of Metastatic Colorectal Cancer | Illumina RNA Sequencing whole exome sequencing |
组织 | 38.585 |
| 6 | SCN9A Epileptic Encephalopathy Mutations Display a Gain-of-function Phenotype and Distinct Sensitivity to Oxcarbazepine | whole-exome sequencing | 血液 | 5.271 |
| 7 | FLNC and MYLK2 gene mutations in a Chinese family with different phenotypes of cardiomyopathy | Illumina RNA Sequencing whole exome sequencing |
血液 | N/A |
| 8 | Novel In-Frame Deletion Mutation in NOTCH1 in a Chinese Sporadic Case of Adams-Oliver Syndrome | Illumina RNA Sequencing whole exome sequencing |
血液 | 3.55 |
| 9 | B lymphocytes expressing high levels of PD-L1 are key regulators of diabetes development in non-obese diabetic mice | Illumina RNA Sequencing whole exome sequencing |
组织 | 4.174 |
| 10 | …… |
-END-



